
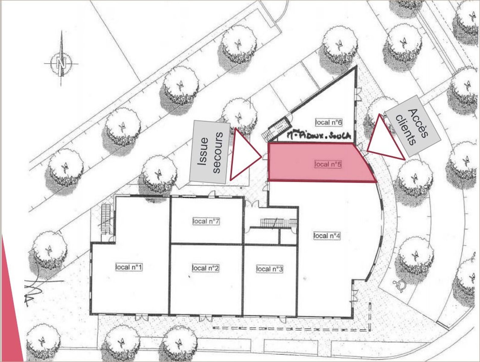
Local commercial disponible en location sur la commune de Tournefeuille avec vitrine sur rond point passant avec parking clientèle.
Nous vous proposons au sein d'un espace commercial sur Tournefeuille, un local commercial bénéficiant d'une excellente visibilité sur rond point et d'un parking prévu pour la clientèle. Local dispose d'une chambre froide, d'un terminal de cuisson et des travaux de rénovation sont en cours. Commerces voisins : vétérinaire, coiffeur, pizzeria
NULL
Parking Client libre
4 min du centre-ville de Tournefeuille Accès Rocade Arc en Ciel en 6 min Bus : 121, 21